family CERAMBYCIDAE Latreille, 1802
subfamily CERAMBYCINAE Latreille, 1802
tribe Clytini Mulsant, 1839
genus Xylotrechus Chevrolat, 1860
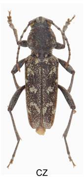
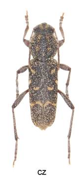
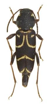
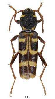
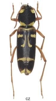
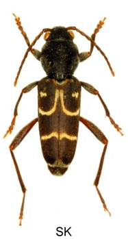
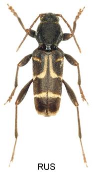
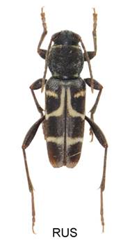
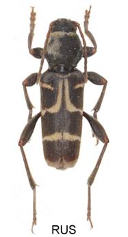
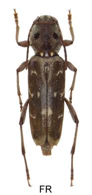
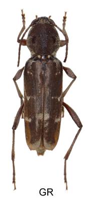
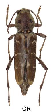
Xylotrechus rusticus (Linnaeus, 1758)
subgenus Rusticoclytus Vives, 1977














Velikost 9-20 mm.
stojící odumírající stromy, kmeny i větve, vývraty i pokácené dřevo od 3 cm do neomezené tloušťky. Tvar požerku se dosti liší zejména podle dřevin, ale často jsou požerky rozdílné i ve stejném dřevě. Při vývoji ve Fagus larvy vyžírají nepravidelné chodby mezi kůrou a bělí a do dřeva dělají převážně jen kratší chodbu, která pokračuje kukelní komůrkou a výletovou chodbou. Kukelní komůrka je různě tvarovaná, rovnoběžná s osou stromu, šikmá k povrchu apod. V měkkých dřevinách jsou délky chodeb ve dřevě před zakuklením značné, často se larvy při žíru vrací zpět k lýku a opět do dřeva. U Fagus se larva zavrtává do hloubky cca 3-4 (až 9) cm, v Populus až 10 - 15 cm. Kuklí se převážně ve dřevě, kuklení pod kůrou je spíše výjimečné. Vývoj jsem zjistil jednoletý, stejně jako Daněk (1978). Švácha (1987) uvádí dvouletý. Imaga se vyskytují od konce V. do VIII., maximum VI., na horách VII. Imaga ve dne pobíhají po kůře, nebo sedí nehybně na spodní straně ležícího dřeva. Je částečně večerním, nebo i nočním druhem.
Živné rostliny - Fagus, Betula, Populus alba, Populus tremula; udává se též Salix, Quercus, Tilia, Ulmus, Sorbus.
Variabilita. V šedobílé kresbě krovek velmi jemně variabilní druh. Někdy mají imaga základní zbarvení krovek světlejší a nohy červenohnědé.
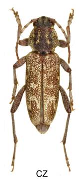
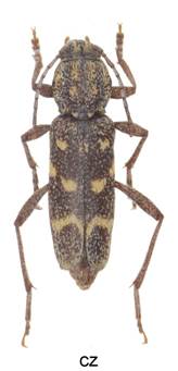
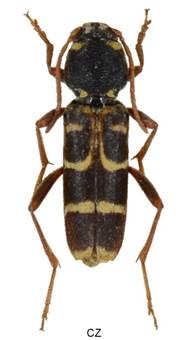
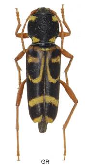
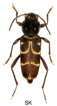
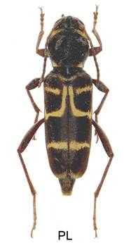
Xylotrechus pantherinus (Savenius, 1825)
subgenus Rusticoclytus Vives, 1977















Velikost 9-20 mm.
Bionomie. Okraje lesních porostů, elektrovody, neudržované plochy bývalé zemědělské půdy, okolí lomů atd. Vývoj v živém dřevě Salix caprea. Dává přednost částečně oslabeným stromům, poškozovaným např. žírem Saperda similis, Aromia moschata, stromům mechanicky poškozeným na okrajích lomů, nebo olamováním větví (“kočiček”) apod. Napadá především větve o průměru 2 - 6 cm, výjimečně silnější do 10 cm. Samička přednostně klade na místech s odřenou kůrou. Larva žere od lýka až do středové části. Před kuklením si vyhlodá výletový otvor krytý kůrou, nebo v místech bez kůry krytý jen slabou vrstvou dřeva. Dvouletý vývoj, při horších podmínkách i tříletý. Ve stejném dřevě se může vyvíjet i několik generací. Dojde-li delší čas před dokončením vývoje k pokácení jív a tím k odumření dřeva, dochází u malých larev převážně k úhynu, u větších larev dojde k dokončení vývoje, ale imaga bývají menší velikosti. - Imaga se vyskytují od VI. do VIII., maximum konec VI. až počátek VII. Prvé imago mimo dřevo jsem chytil 18.6. Za teplého počasí pobíhají po kůře, nenavštěvují květy.
Živné rostliny - Monofágní druh, vývoj výhradně v Salix caprea.
Variabilita. Variabilní jsou světlé skvrny na krovkách, mohou být redukované, ale častěji se rozšiřují a spojují, zejména v zadní části.
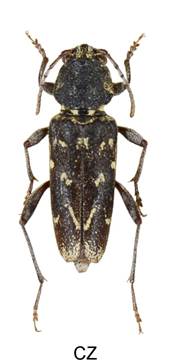
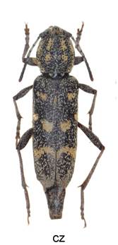
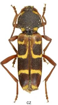
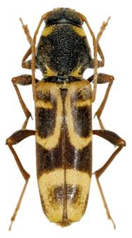
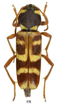
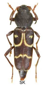
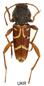
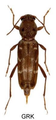
Xylotrechus antilope antilope (Schoenherr, 1817)
subgenus Xylotrechus Chevrolat, 1860







Velikost 5-14 mm.
Bionomie. V současné době dubové porosty různých typů a poloh. Vývoj převážně ve větvích, nebo slabších kmenech čerstvě odumřelého nebo pokáceného dřeva, zejména ve zbytcích po těžbě o průměru cca 3-15 cm. Larvy žerou převážně pod kůrou, později vstupují do dřeva, kde pokračují v žíru v běli a tam se i kuklí. Kukelní komůrka a výletová chodba jsou pokračováním larvální chodby. Na Křivoklátě jsem zjistil na živém buku (Fagus) o průměru cca 50 cm v místě mnoho let odumřelého dřeva bez kůry (lysině) zcela mimořádný vývoj. V povrchové vrstvě dřeva do hloubky 2 cm jsem nalezl cca 10 larev, kukel a čerstvých imag. Dobu vývoje jsem zjistil vždy pouze jednoletou. -Imaga se vyskytují od konce V. do počátku VII., maximum VI. Denní druh, imaga pobíhají po dřevě a nenavštěvují květy.
Živné rostliny - Téměř výhradně v různých druzích Quercus včetně Quercus suber (Francie, Tunis), zcela výjimečně Fagus (viz výše). Ve Stakčíně jsem zjistil pouze jednou vývoj v kmínku Betula o průměru cca 8 cm (3 imaga), který probíhal zcela stejně jako v Quercus.
Variabilita. Krovky převážně černé se žlutou kresbou. Zřídka je základní barva světlejší. Nohy černé, zřídka světlé.
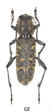
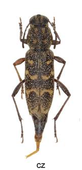
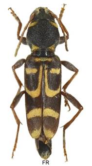
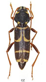
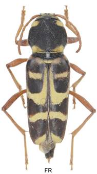
Xylotrechus arvicola arvicola (Olivier, 1795)
subgenus Xylotrechus Chevrolat, 1860













Velikost 8-15 mm.
Bionomie. Prosvětlené listnaté lesy, pastviny, staré ovocné sady, parky. Vývoj larev probíhá v odumřelém dřevě různých listnatých stromů, kmenů i větví, nízko i vysoko nad zemí, silných obvykle od 8 do 20 cm, nalezl jsem ho ale i ve slabých větvích o průměru 3 cm a stojícím zbytku zlomeného Fagus o průměru 45 cm. Napadá i odumírající větve po žíru Coraebus sp. V porostu Quercus u Nižboru, starém cca 40-50 let, jsem našel desítky stromů, na kterých se vyskytoval vždy pouze do výše 30 cm od země. Horní části byly napadeny především Phymatodes testaceus a Clytus tropicus. Pokud je na dřevě kůra (což není podmínkou), začátek žíru probíhá pod kůrou, ale brzy larvy vstupují do dřeva, kde vyhlodávají zcela nepravidelné chodby, sahající 3-5 až 10 cm do hloubky. Dávají přednost žíru v bělové části dřeva, často však vstupují i do jádra. Do stejného dřeva mohou samičky klást vajíčka i řadu let po sobě, až dojde téměř k úplnému rozežrání dřeva. Doba vývoje je dvouletá, zřídka tříletá, v laboratorních podmínkách i jeden rok. Při nepříznivých podmínkách v suchém dřevě se vylíhla imaga až po pěti letech. Přezimuje jako larva, kuklí se ve dřevě obvykle do hloubky cca 3 cm. Výletový otvor ze dřeva si prokouše imago samo, nebo pokud je na dřevě kůra, je již připraven larvou a je ucpán drtinami. V našich podmínkách jsem nacházel tento druh od nejnižších poloh do cca 600 m n. m. V jižní Evropě se nachází již od úrovně moře. - Imaga se vyskytují od počátku VI. do VIII., maximum VII. Za teplého slunného počasí naletují na dříví, nalezl
jsem je však i v noci. Nevyskytují se na květech.
Živné rostliny - Nejčastěji v Quercus, Carpinus, Crataegus, Fagus, Cerasus avium avium a C. avium vulgaris, Prunus domestica, Acer, Betula. Udává se též Prunus; Ostrya, Castanea, Pyrus, Populus, Tilia, Cydonia, Morus, Sorbus aj.
Variabilita. Žluté pásky na krovkách jsou někdy přerušeny, častěji se ale rozšiřují nebo spojují. Báze krovek bývá černá, nebo je i základná barva světlá. Nohy převážně červenohnědé až žluté, méně často začernalé nebo černé.
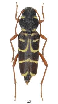
Xylotrechus capricornus (Gebler, 1830)
subgenus Xylotrechus Chevrolat, 1860








Velikost 8-16 mm.
Bionomie. Především pastviny s převahou Betula, smíšené řídké listnaté porosty. Vývoj pod kůrou a v odumřelém, nebo oslabeném dřevě Betula (Sláma 1967, Sláma & Gutowski 1997). Larvy žerou zprvu pod kůrou (20-90 mm), pak vstupují do dřeva a pokračují v nepravidelném žíru. Samička klade vajíčka do štěrbin kůry nebo dřeva kmenů i větví o síle 5-35 cm. Larvy prožírají dřevo do hloubky až 7-8 cm, chodby o průměru 8-12 mm za sebou ucpávají drtí. Na podzim před výletem imag (řidčeji až na jaře) vyhlodá larva kukelní komůrku 3-55 mm hluboko od povrchu dřeva. Ve stojících stromech jsou kukly obvykle obráceny hlavou směrem vzhůru, u ležících směrem ke koruně, méně často opačně. Kukelní komůrka eliptického tvaru přechází pozvolna ve výstupní chodbu. Je-li dřevo pokryto slabou kůrou, larva ji obvykle ucpává drtí. Je-li pokryto silnou kůrou (v dolních částech), vyhlodá larva chodbu touto kůrou a ponechá 2–5 mm silnou vrstvu na povrchu. V tomto případě nebývá obvykle chodba drtinami ucpána. Výletový otvor v kůře je téměř kruhový, po odstranění kůry oválnější o průměru 2,5 – 4,8 mm. Doba vývoje larev trvá dva roky, pouze malá část předrží do třetího roku. Vývoj dva roky po sobě ve stejném dřevě jsem zjistil zcela ojediněle. V laboratorních podmínkách se mi podařilo zkrátit dobu vývoje dokonce na jeden rok. Larvy se kuklí v V. – VI. až na nepatrné výjimky ve dřevě, velmi zřídka mezi kůrou a dřevem. Vylíhlá imaga zůstávají v kukelních komůrkách velmi krátkou dobu. Hlavní rojení probíhá koncem VI. - počátkem VII., jednotlivé kusy se nacházejí ještě v druhé polovině VIII. Imaga je možné v přírodě nalézt velmi zřídka jen v nejteplejších dnech a jsou velmi rychlá. Naletují pouze na dřevo, nikoliv na květy.
Živné rostliny - Betula; zdá se být zcela monofágním druhem.
Variabilita. Štít se dvěma malými žlutými skvrnami, nebo bez nich. Zadní žlutá pásky je někdy rozdělená. Nohy vzácně červenohnědé.
Xylotrechus ibex (Gebler, 1825)
subgenus Xylotrechus Chevrolat, 1860






Velikost 8-17 mm.
Bionomie. Ve střední Evropě velmi vzácný druh, vyskytuje se jen v Polsku. Vývoj je obdobný jako u Xylotrechus capricornus. Přednostně v Betula, ale jsou uváděny i další dřeviny.
Xylotrechus sp. ??

Uvedený kus jsem asi v roce 1952 zakoupil na burze v Praze od jedno motýláře za 1,- Kč. Vzbudil velkou pozornost u Heyrovského, Lekeše, Pospíšila a dalších, ale nikdo si nevěděl rady. Na širokém štítu má po stranách dva vtlaky. Něco podobného mívá rod Isotomus (např. comptus), nebo je mívají naznačeny také některé kusy Xylotrechus arvicola. Od té doby marně hledám další kus. Lokalita je psaná ručně - Užhorod 17. 7. 1927 (nyní Ukrajina). Podle Heyrovského se jednalo jasně o písmo entomologa Vávry, který tehdy v bývalé Podkarpatské Ukrajině sbíral.
Xylotrechus stebbingi Gahan, 1906
subgenus Xylotrechus Chevrolat, 1860






Velikost 8-22 mm.
Bionomie. Asijský druh (Indie) introdukovaný do přírody řady zemí v Evropě. Polyfágní druh na listnatých dřevinách. V Evropě je uváděn vývoj v řadě dřevin, zejména v Quercus, Populus, Alnus a dalších. Larvy se vyvíjejí pod kůrou. Později vstupují do dřeva, kde se také kuklí. Imaga na živných dřevinách VI-VII.
Variabilita. Variabilní jsou šedé skvrny na krovkách.
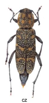
Xylotrechus rusticus Linnaeus, 1758 CZ Populus tremula


SK Fagus

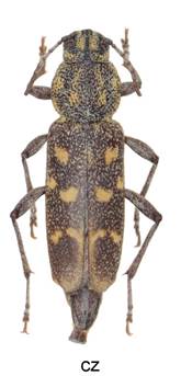
Xylotrechus pantherinus Savenius, 1825 CZ Salix caprea




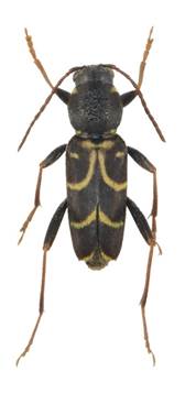
Xylotrechus antilope antilope Schoenherr, 1817 CZ Quercus





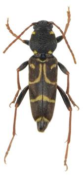
Xylotrechus arvicola Olivier, 1795 CZ Quercus


Xylotrechus capricornus Gebler, 1830 SK Betula




Pastviny na kterých byla pravidelně osekáváním kůry nebo kácením ničena bříza, aby
nezarůstaly stromy, takže tu byly možnosti k namnožení Xylotrechus capricornis
